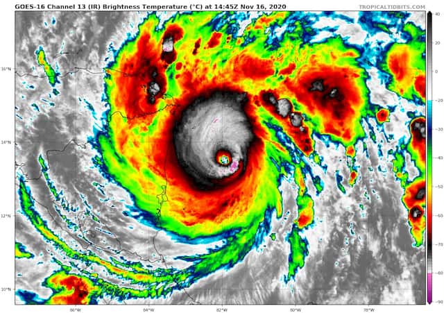
IOTA සුළි කුණාටුවට මුහුණ දීමට නිකරගුවාව සුදානම් වේ..

අධි අවධානම් 5 වන මට්ටමේ දැනට ක්රියාකාරීව ඇති IOTA සුළි කුණාටුව සඳුදා රාත්රි(16) හෝ අඟහරුවාදා උදෑසන (17) තම රටට ඇතුල් ⇾
අධි අවධානම් 5 වන මට්ටමේ දැනට ක්රියාකාරීව ඇති IOTA සුළි කුණාටුව සඳුදා රාත්රි(16) හෝ අඟහරුවාදා උදෑසන (17) තම රටට ඇතුල් ⇾
ඇමරිකානු ඖෂධ සමාගමක් වන Moderna Inc සමාගම විසින් නිෂ්පාදනය කරන ලැබු කොවිඩ් 19 වෛරසයට එරෙහි නවතම එන්නත 94.5% ක අධි ⇾
මාස 7කට පසුව ඔස්ට්රේලියාවේ දකුණු ඔස්ට්රේලියා ප්රාන්තයෙන් කොවිඩ් ආසාදිතයන් 17 දෙනෙකු හඳුනාගෙන තිබෙනවා. නිරෝධායන කටයුතු සිදුකළ හෝටලයක් ආශ්රිතව මෙම නව ⇾
කොවිඩ් වෛරස් වසංගතය පාලනය කිරීමේදී තායිලන්තය ලබාගෙන ඇති සාර්ථකත්වය ලෝක සෞඛ්ය සංවිධානයේ පැසසුමට ලක්වී තිබෙනවා. චීනයෙන් පිටත කොවිඩ් ආසාදිතයෙක් වාර්තා ⇾
බොලිවුඩ් සිනමාවේ ජනප්රිය නළුවකු වන අසිෆ් බස්රා සියදිවි හානි කරගෙන ඇතැයි වාර්තා වේ. ඔහුගේ සිරුර ධරම්සාලා හි මැක්ලියෝඩ්ගාන්ජ් නම් ප්රදේශයේ ⇾
ඉන්දු පාකිස්තාන දේශසීමාවේ අද දිනයේ ඇති වී ඇති දරුණු ගැටුම් වලින් ඉන්දීය යුද හමුදා සාමාජිකයින් සිව් දෙනෙකු සහ සිවිල් වැසියන් ⇾
Covid-19 වෛරසය ආසාදනය වීම හේතුවෙන් බ්රිතාන්ය සිදු වූ මරණ සංඛ්යාව 50,000 ඉක්මවා ගොස් තිබෙනවා විදෙස් මාධ්ය වාර්තා කළේ යුරෝපයේ කොවිඩ් ⇾
පසුගිය සතිය තුළදී අමෙරිකාවේ ළමුන් 74,000කට වැඩි පිරිසක් කොවිඩ් වෛරසයට ගොදුරු වී ඇති බව විදෙස් මාධ්ය වාර්තා කරයි. වසංගත ව්යාප්තිය ⇾
ලොම් ලබා ගැනීම සඳහා ඇති කරන මුගටි විශේෂයක් මගින් කොවිඩ් රෝගය මිනිසුන්ට බෝ වන බවට අද තවත් රටවල් පහක් වාර්තා ⇾
ඊයේ (08) පැවැති ඡන්ද විමසීමට අදාළ ප්රතිඵලය අනුව අවුන් සාන් සු කී යළි ජයගනු ඇති බව වාර්තා වේ. පාර්ලිමේන්තු ආසන ⇾
අමෙරිකාව කොවිඩ් වසංගතයෙන් මුදා ගැනීමට ක්රියා කරන බව පසුගියදා තේරී පත් වූ නව ජනාධිපති ජෝ බයිඩ්න් පවසනවා. එහි පළමු පියවර ⇾